Kırklareli OSB, Genişleme Sahasında Satılık 10.369 m2 Parsel.
PARSELİMİZ, 17. BULVARA, 82 METRE CEPHSİ MEVCUTTUR. BULVARIN FOTOGRAFLARDA GÖRÜLECEĞİ ÜZERE YOL YAPIM ÇALIŞMALARI BAŞLAMIŞ OLUP, AĞAÇLANDIRMA VE YAYA YÜRÜYÜŞ YOLLARI ÖNÜMÜZDEKİ AYLARDA BİTECEKTİR.
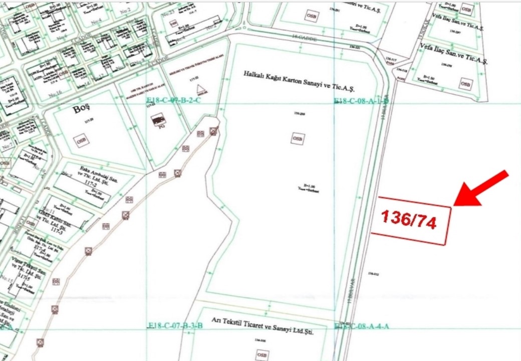
ARAZİMİZ HALKALI KAĞIT, ARI TEKSTİL GİBİ, YENİ BAŞLAYACAK FABRİKALARA KARŞI KARŞIYADIR.
KOMŞULARI, VATAN KABLO, VEFA İLAÇ, ROYAL EV ALETLERİ GİBİ FİRMALARDIR.
ALT YAPI ERİŞİMİ 5 MT DİR.
KIRKLARELİ OSB SON YILLARDA ARTAN TALEBİ KARŞILMAK ÜZERE, 5 ETAP TAN OLUŞAN GENİŞLEME YATIRIM PLANINI DEVREYE SOKMUŞ OLUP, 1 ETAP PROJE VE SATIŞ İŞLEMLERİNİ GERÇEKLEŞTİRMİŞTİR.
ARSAMIZ 1 ETAP BÖLGESİNE BİTİŞİK KONUM OLDUĞUNDAN, 2 ETAP ÇALIŞMALARI BAŞLADIĞINDA, OSB YE DAHİL EDİLECEK ÖNCELİKLİ PARSELLER ARASINDA OLUP, DEĞERLEMESİ ÖZELLİĞİNE GÖRE YAPILMIŞTIR.
OSB ve bölge hakkında detaylı bilgi için arayabilirsiniz. Sağlıcakla.
Tunç Pakbeşe, Sanayi Gayrimenkul Uzmanı, 0533 568 54 02.
Remax Joker
| 0 TL | |
| Konum | Kırklareli / |
| İlan Tarihi | 5 Ağustos 2023 |
| OSB | Kırklareli |
| Ada / Parsel | 136 / 74 |
| Arsa Alanı | 10369 |
| TAKS | |
| KAKS | |
| İskan | |
| Kredi | Uygun |
| Tapu Durumu |
